Díaz-Canel: Se mantiene el control sobre la situación en oriente
Tiempo de lectura aprox: 1 minutos, 3 segundos
Miguel Díaz-Canel, Primer Secretario del Comité Central del Partido Comunista de Cuba (PCC) y Presidente de la República, aseguró que se mantiene el control sobre la situación en el oriente del país luego del paso del huracán Melissa en la madrugada y la mañana de este miércoles.
El jefe de Estado cubano declaró que permanece en comunicación con los primeros secretarios del Partido de las provincias orientales desde la madrugada.
Nos hemos preparado para el peor escenario y las medidas han sido efectivas, precisó el mandatario.
También en X, Roberto Morales Ojeda, secretario de Organización del Comité Central del PCC, llamó a la población, en especial a la de la región oriental, a permanecer informada y en lugares seguros.
El huracán Melissa impactó el oriente de Cuba y sus fuertes vientos y abundantes lluvias dejan considerables daños, a la mayor brevedad posible comenzará la recuperación.
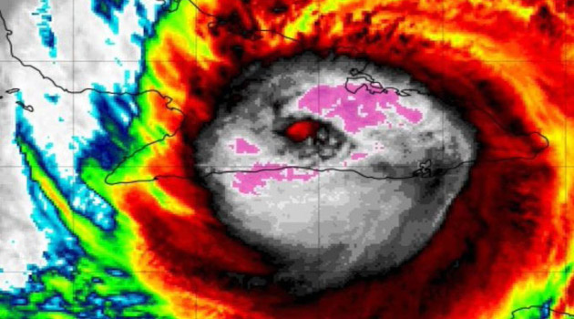
Según informó el Instituto cubano de Meteorología a las 9:00 a.m., la región central del huracán Melissa se localizó por los radares cubanos en los 20.7 grados de latitud Norte y los 75.4 grados de longitud Oeste, posición que lo sitúa a 45 kilómetros al sudeste de Banes perteneciente a la provincia de Holguín.
Melissa continúa moviéndose al norte-nordeste, con una velocidad de traslación de 22 kilómetros por hora y sus vientos máximos sostenidos han descendido hasta 165 kilómetros por hora, con rachas superiores, por lo que ahora es un huracán categoría dos en la escala Saffir – Simpson.
Las áreas de lluvias y tormentas asociadas a este huracán afectan la región oriental de Cuba, las que han llegado a ser fuertes e intensas en algunas localidades.
En las últimas horas se registraron acumulados significativos de 335.2 milímetros en el Centro Meteorológico de Holguín y de 268.4 milímetros en la estación meteorológica de Guaro, ambos en la provincia de Holguín.
Visitas: 1

